20 luglio 2020
Condividi il link su:

Colpo di fuoco, estensione in val di Non, Vallagarina e Basso Sarca

Centinaia le aree controllate e 162 i campioni analizzati tra melo, pero, rosacee ornamentali. La FEM: “sorvegliate bene i frutteti e attenzione alle piante ornamentali”.

Centinaia le aree controllate e 162 i campioni analizzati tra melo, pero, rosacee ornamentali. La FEM: “sorvegliate bene i frutteti e attenzione alle piante ornamentali”.

Il colpo di fuoco batterico, che sta allarmando l'intera Valsugana, si sta diffondendo in altre zone della provincia di Trento. Dall'8 giugno all'8 luglio i tecnici FEM costantemente impegnati nei monitoraggi hanno rilevato alcuni casi anche in valle di Non, Vallagarina e Basso Sarca. L'ufficio fitosanitario della PAT informa che in settimana saranno estese a tutto il territorio provinciale le misure emergenziali individuate il primo giugno per la Valsugana.

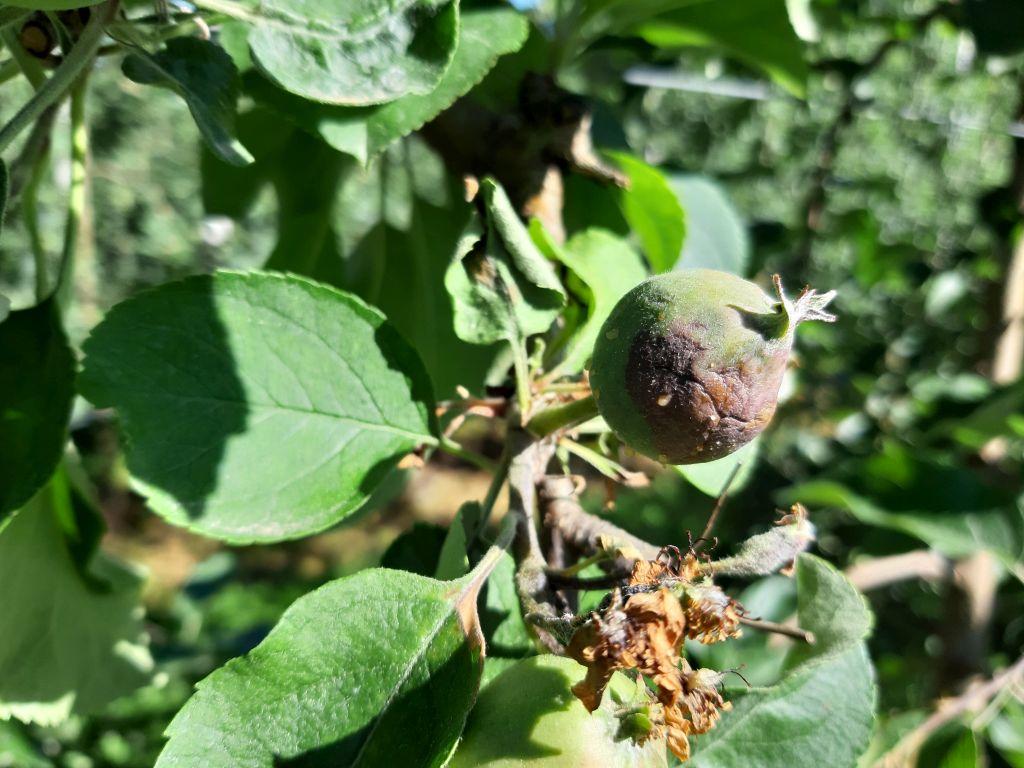
Come riportato nell'ultimo notiziario frutticoltura del Centro Trasferimento Tecnologico è stato rilevato un caso su melo a Pomarolo (varietà Cripps Red Joya®) e 9 in Val di Non (varietà: Gala, Golden D., Gradisca Enjoy®, Roho 3615-Evelina®, Fengapi-Tessa®, Fuji e Kizuri-Morgana®), di cui 6 sono frutteti messi a dimora nel 2020, mentre i restanti sono impianti in produzione (anno di impianto: 2014, 2016, 2017). In tutte le situazioni i sintomi riguardavano una parte della pianta, per cui si sono asportate alcune branchette e non è stato necessario estirpare l'intera pianta sintomatica. Nessuna segnalazione su melo è pervenuta dalle altre aree frutticole, mentre un campione sintomatico su nespolo è stato riscontrato nella zona di Arco.

Monitoraggio e diagnosi: tutti i numeri
ll controllo del territorio è stato effettuato, come nelle scorse annate, in maniera capillare. Sono stati effettuati centinaia di controlli oltre ai 234 nei punti inseriti nella rete di monitoraggio ufficiale. All'azione di sorveglianza si affianca l'attività del Laboratorio di Diagnosi Fitopatologica necessaria per verificare la presenza del batterio Erwinia amylovora. Ad oggi sono stati analizzati 162 campioni tra melo, pero, rosacee ornamentali (rosa, sorbo, cotogno, nespolo, cotognastro, biancospino, piracanta). Il 48% delle 145 analisi concluse è risultato infetto da colpo di fuoco batterico. Il tempo medio per un risultato diagnostico è stato di 4-5 giorni.

Numero Whatsapp: segnalate le piante sospette
Per aiutare i cittadini a riconoscere i sintomi del colpo di fuoco batterico e segnalare eventuali piante infette la Fondazione Edmund Mach in stretto raccordo con l'Ufficio fitosanitario della Provincia autonoma di Trento ha attivato, nei giorni scorsi, il numero Whatsapp 335 8484120.
A questo numero si possono inviare le fotografie dei sintomi e altre informazioni utili per il riconoscimento per ricevere in breve tempo la risposta degli esperti ed eventuali indicazioni.

Sito dedicato
E’ stato creato un sito tutto dedicato alle emergenze fitosanitarie, https://fitoemergenze.fmach.it/ dove è possibile trovare molte informazioni, scaricare il volantino e il manifesto aggiornati che sono stati inviati capillarmente a tutti i comuni colpiti.

Attenzione alle piante ornamentali
I risultati dei monitoraggi mostrano, oltre alla diffusione su melo e pero, anche un aumento sulle specie ornamentali e spontanee trovate infette in giardini, aiuole, parchi e alberature: si tratta, soprattutto, di sorbo, nespolo, biancospino, cotogno, cotognastro, rosa.

Cosa fare in caso di piante infette. La sorveglianza dei frutteti è di fondamentale ma anche monitorare giardini e bordure. E’ obbligatorio l’asporto delle parti vegetali colpite dalla malattia che vanno distrutte bruciandole sul posto, senza la necessità di analisi batteriologiche di conferma. Eventualmente, in attesa della bruciatura, non abbandonare il materiale asportato all'aperto ma contenerlo in sacchi ben chiusi per non disperdere il batterio. Controllare nuovamente tutti i frutteti dopo alcuni giorni dopo il rinvenimento della malattia. Segnalare in ogni caso la presenza di piante sintomatiche o sospette al tecnico di zona. Al termine delle operazioni di taglio e potatura è di fondamentale importanza la pulizia e il lavaggio con prodotti disinfettanti degli strumenti utilizzati.

Contatti
Per segnalazioni o richiesta di informazioni si prega di contattare il tecnico di zona. Per ulteriori approfondimenti https://fitoemergenze.fmach.it/ Per inviare fotografie delle piante sospette per il riconoscimento della malattia, numero Whatsapp 335.8484120- Contatto mail e telefono Ufficio fitosanitario PAT 0461 495660 serv.agricoltura@provincia.tn.it, Fondazione E. Mach Centro Trasferimento Tecnologico 0461 615461 info.ctt@fmach.it

Fonte: Ufficio stampa FEM Silvia Ceschini

Autore: Redazione